The king and his men marched to Jerusalem to attack the Jebusites, who lived there. The Jebusites said to David, “You will not get in here; even the blind and the lame can ward you off.” They thought, “David cannot get in here.” Nevertheless, David captured the fortress of Zion—which is the City of David. On that day David had said, “Anyone who conquers the Jebusites will have to use the water shaft to reach those ‘lame and blind’ who are David’s enemies. ” That is why they say, “The ‘blind and lame’ will not enter the palace.” David then took up residence in the fortress and called it the City of David. He built up the area around it, from the terraces inward. And he became more and more powerful, because the Lord God Almighty was with him. Now Hiram king of Tyre sent envoys to David, along with cedar logs and carpenters and stonemasons, and they built a palace for David. Then David knew that the Lord had established him as king over Israel and had exalted his kingdom for the sake of his people Israel. -2 Samuel 5:6-12
This passage is a welcome break from the graphic violence and killing of the last several passages. No blood letting or body parts. There is also some intriguing geological connections in this verse that relate to water and ancient waterworks near the city of Jerusalem. It is interesting that without water, or more precisely a “water shaft”, there might not have been a “city of David”. Joab and David may not have been successful in gaining access to the city to conquer the Jebusites.
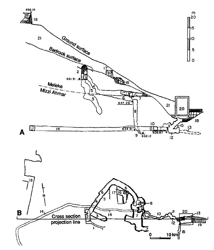
Water in this part of the world is very precious and rare. The main sources of water in many areas are natural springs, wells, and cisterns. The only abundant water source near the town of Jerusalem was called the Gihon Spring in the Kidron Valley. Apparently the word Gihon or Giha in Hebrew means “gushing forth”. The spring was apparently named this because, unlike many springs, it’s flow was not constant, it alternated between regular flow and dramatically increased flow (it gushed).
There is a good scientific reason for this seemingly odd behavior in a spring. The rocks in the region of the spring are sedimentary layers of dolomite and limestone. These rocks are relatively brittle and fractured. When slightly acidic water finds its way into the cracks and fissures over a long period of time it dissolves some of the rock to create caves, cavities, and openings through which water can flow. Geologists refer to this type of geologic structure as karst, and the areas where water flows as karst aquifers. When water flows through karst caves and fissures they behave like pipes. Water can be siphoned from one chamber or cave to another depending on the water levels. This may explain the gushing nature of the spring. Groundwater was moving though the karst cavities in an irregular way.
Karst areas in Florida routinely make the news when the caverns become large enough and collapse to form a sink whole under a building or parking lot. A sinkhole recently made the news because it opened up under a rare corvette museum taking several very expensive cars with it. It is likely that the “water shaft”, described in this passage, was a naturally occurring sink hole that was used to sneak into Jerusalem to conquer the Jebusites. The shaft was likely connected underground to the Gihon Spring. The horizontal connection to the spring may have been a naturally occurring cave or fissure that was modified and enlarged by people in the city to access the spring during times of siege.
I am not sure why the Jebusites did not know about the underground connection, but they apparently did not know it existed. It is possible that David’s men, probably with God’s help, discovered the shaft while exploring around the Gihon Spring. God took something naturally occurring and performed a miraculous thing with it. This is reminiscent of David’s use of ordinary smooth stones to fell a giant — an ordinary sink hole to conquer a city. God uses ordinary things quite often, including many ordinary people who he calls to do extraordinary things — with His help. This is reassuring for us ordinary people.
Prayer: God help us to expect the unexpected and allow You to make the ordinary parts of our lives extraordinary.

